Temperaturas máximas de 30 a 35 °C en el noreste del estado
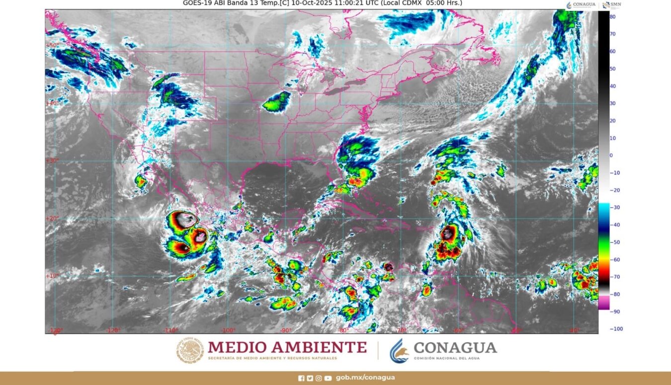
La tormenta tropical Raymond se desplazará de forma paralela a las costas de Guerrero y Michoacán, generando lluvias puntuales intensas en Jalisco, Colima, Michoacán y Guerrero (suroeste), así como lluvias muy fuertes en Nayarit.
Además, se prevén rachas de viento de 60 a 80 km/h con posible formación de trombas marinas y oleaje de 3.0 a 4.0 metros de altura en costas de Michoacán, Colima y Jalisco; vientos de 20 a 30 km/h con rachas de 40 a 60 km/h y oleaje de 2.0 a 3.0 metros en costas de Nayarit, Sinaloa y Guerrero; y de 1.0 a 2.0 metros de altura en costas de Oaxaca y Chiapas.
A su vez, se prevé que Priscilla se degrade a ciclón post-tropical frente a la costa oeste de Baja California Sur. No obstante, mantendrá vientos y lluvias fuertes en dicha entidad, además de oleaje de 2.0 a 3.0 metros de altura en la costa occidental de la península. A su vez, los desprendimientos nubosos asociados a su circulación, generarán intervalos de chubascos en Baja California.
Un canal de baja presión sobre el occidente del golfo de México en interacción con los desprendimientos nubosos de la vaguada monzónica que permanecerá frente a las costas del Pacífico sur mexicano, ocasionarán lluvias puntuales intensas en Veracruz, Puebla, Hidalgo, Querétaro y San Luis Potosí; puntuales muy fuertes en Chiapas, Oaxaca, Morelos, Estado de México, Guanajuato y Tamaulipas; puntuales fuertes en Tabasco, Tlaxcala, Ciudad de México, Aguascalientes, Nuevo León y Sinaloa; chubascos en Zacatecas, Durango y Sonora; y lluvias aisladas en zonas de Coahuila y Chihuahua.
Finalmente, la aproximación de una onda tropical (núm. 37) a la península de Yucatán, propiciará chubascos y lluvias puntuales fuertes en Campeche, Yucatán y Quintana Roo.
Los intervalos de chubascos y las lluvias puntuales fuertes a intensas, podrían acompañarse con descargas eléctricas y caída de granizo.
Para más información de los ciclones tropicales Priscilla y Raymond en el océano Pacífico, consultar los avisos del Servicio Meteorológico Nacional en:
Para más información de los ciclones tropicales Jerry y Karen en el océano Atlántico, consultar los avisos del Servicio Meteorológico Nacional en:
Pronóstico de lluvias:
Lluvias muy fuertes con puntuales intensas (75 a 150 mm): San Luis Potosí (este), Querétaro (norte), Hidalgo (noreste), Puebla (norte), Veracruz (norte y sur), Jalisco (costa y sur), Colima, Michoacán (costa) y Guerrero (suroeste).
Lluvias fuertes con puntuales muy fuertes (50 a 75 mm): Tamaulipas, Guanajuato (noreste), Estado de México, Morelos, Nayarit, Oaxaca y Chiapas.
Chubascos con lluvias puntuales fuertes (25 a 50 mm): Baja California Sur, Sinaloa, Nuevo León, Aguascalientes, Ciudad de México, Tlaxcala, Tabasco, Campeche, Yucatán y Quintana Roo.
Intervalos de chubascos (5 a 25 mm): Baja California, Sonora, Durango y Zacatecas.
Lluvias aisladas (0.1 a 5 mm): Chihuahua y Coahuila.
Las lluvias puntuales fuertes a torrenciales podrían reducir la visibilidad, incrementar los niveles de ríos y arroyos, y generar encharcamientos, deslaves e inundaciones.
Las rachas fuertes de viento podrían ocasionar la caída de árboles y anuncios publicitarios.
Pronóstico de temperaturas máximas:
Temperaturas máximas de 40 a 45 °C: Sonora y Sinaloa.
Temperaturas máximas de 35 a 40 °C: Baja California, Baja California Sur, Chihuahua (suroeste), Durango (oeste), Nayarit, Jalisco, Colima, Guerrero (noroeste), y Oaxaca (sureste).
Temperaturas máximas de 30 a 35 °C: Coahuila, Nuevo León, Zacatecas (sur), San Luis Potosí (este), Hidalgo (noreste), Puebla (norte y suroeste), Morelos (sur), Michoacán, Guerrero, Chiapas, Campeche, Yucatán y Quintana Roo.
Pronóstico de temperaturas mínimas:
Temperaturas mínimas de 0 a 5 °C: zonas montañosas del Estado de México, Tlaxcala, Puebla y Veracruz.
Pronóstico de viento y oleaje para hoy 10 de octubre de 2025:
Viento de 30 a 50 km/h con rachas de 60 a 80 km/h con posible formación de trombas marinas: costas de Michoacán, Colima y Jalisco.
Viento de 20 a 40 km/h con rachas de 50 a 70 km/h: Durango, Zacatecas y Aguascalientes.
Viento de 20 a 30 km/h con rachas de 40 a 60 km/h: golfo de California (norte y sur), Baja California, Baja California Sur, Sonora, Sinaloa, Nayarit, Chihuahua, Coahuila, Nuevo León, San Luis Potosí, Guanajuato, Querétaro, Hidalgo, Puebla, Tamaulipas, Veracruz (costa), Guerrero, Oaxaca y Chiapas.
Oleaje de 3.0 a 4.0 metros de altura: costas de Jalisco, y disminuyendo hacia la tarde en Michoacán y Colima.
Oleaje de 2.0 a 3.0 metros de altura: costa occidental de la península de Baja California, y costas de Sinaloa (sur), Nayarit y Guerrero (oeste).
Oleaje de 1.0 a 2.0 metros de altura: costas de Oaxaca y Chiapas.
